Encuentro Tecnológico #4burgosi40 -> Corner Suelo Industrial Burgos -> Catálogo

Resumen

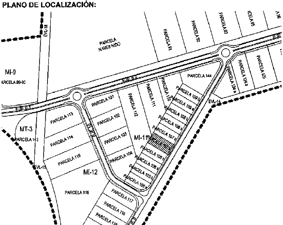
Parcela de 2 312.91 m2 de aprovechamiento (superficie de 2 891.14 m2).

Ubicación

Burgos. Polígono Industrial de Villalonquéjar

Imagen / Planos

Características

Linderos

  • N: parcelas 111 y 107b
  • S: EJE 9 (Viario) y parcela 106b
  • E: EJE 9 (Viario) y parcela 107b
  • O: parcelas 106b, 111 y 112

Precio

  • Valoración previa de la parcela: 191.248,66 €
  • Precio mínimo oferta: 182.228,55 €
  • Importe fianza a depositar: 9.111,43 €

Anunciante / Titular

Ayuntamiento de Burgos

promocionindustrial@aytoburgos.es

¿Te interesa esta oferta?

Puedes solicitar agendar una reunión para que tenga lugar en el Corner de Suelo Industrial (día 25 de septiembre de 2024), en la planta 3 del Fórum Evolución, en el marco del Encuentro Tecnológico Burgos Industria 4.0 2024.

La entrada al evento y la participación en el corner son gratuitas.

Ver más perfiles del Catálogo

Solicita tu ticket de entrada al evento totalmente gratuita y ven a vernos!

Organizado por:
Puedes proporcionarnos tus datos de contacto, indica en el campo Mensaje como referencia «OC33». Te contestaremos lo antes posible con información sobre esta oferta. Gracias.